塔斯娱乐资讯网

形欣的文章

【森拉克】从卫星云图、中央气象台和日本气象厅给出的台风路径看,昨晚超强台风森拉克

【森拉克】从卫星云图、中央气象台和日本气象厅给出的台风路径看,昨晚超强台风森拉克

【森拉克】从卫星云图、中央气象台和日本气象厅给出的台风路径看,昨晚超强台风森拉克
【强降水和强对流】昨天到今晨,青藏高原出现大范围降雪。主雨带维持在广西北部、贵州

【强降水和强对流】昨天到今晨,青藏高原出现大范围降雪。主雨带维持在广西北部、贵州

【强降水和强对流】昨天到今晨,青藏高原出现大范围降雪。主雨带维持在广西北部、贵州
【雾 霾 沙尘】今晨吉林辽宁湖北浙江贵州重庆部分地区出现大雾。8时能见度:湖北金

【雾 霾 沙尘】今晨吉林辽宁湖北浙江贵州重庆部分地区出现大雾。8时能见度:湖北金

【雾 霾 沙尘】今晨吉林辽宁湖北浙江贵州重庆部分地区出现大雾。8时能见度:湖北金
【气温走势分化】今天最高气温,云南元阳40.7℃排名第一。海南澄迈40.3℃,连

【气温走势分化】今天最高气温,云南元阳40.7℃排名第一。海南澄迈40.3℃,连

【气温走势分化】今天最高气温,云南元阳40.7℃排名第一。海南澄迈40.3℃,连
【降水】昨晚到今天,广西北部、湖南南部、江西中北部、福建北部、浙江南部出现中到大

【降水】昨晚到今天,广西北部、湖南南部、江西中北部、福建北部、浙江南部出现中到大

【降水】昨晚到今天,广西北部、湖南南部、江西中北部、福建北部、浙江南部出现中到大
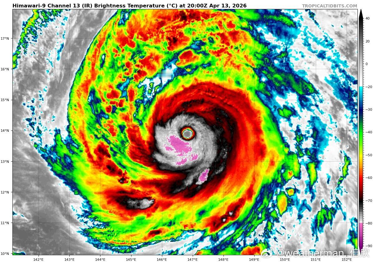
【超强台风森拉克】今晚20时,中央气象台给出森拉克强度评价为55米/秒,925百

【超强台风森拉克】今晚20时,中央气象台给出森拉克强度评价为55米/秒,925百

【超强台风森拉克】今晚20时,中央气象台给出森拉克强度评价为55米/秒,925百
【强对流】预计4月14日20时至15日20时,湖南南部和西部、江西中南部、浙江南

【强对流】预计4月14日20时至15日20时,湖南南部和西部、江西中南部、浙江南

【强对流】预计4月14日20时至15日20时,湖南南部和西部、江西中南部、浙江南
【雾 霾 沙尘】预计14日夜间-15日上午,河南东南部、安徽南部、江苏中南部、上

【雾 霾 沙尘】预计14日夜间-15日上午,河南东南部、安徽南部、江苏中南部、上

【雾 霾 沙尘】预计14日夜间-15日上午,河南东南部、安徽南部、江苏中南部、上
【澄迈又上40℃】今天下午,海南澄迈又冲上40℃。连续9天上40℃,继续刷新海南

【澄迈又上40℃】今天下午,海南澄迈又冲上40℃。连续9天上40℃,继续刷新海南

【澄迈又上40℃】今天下午,海南澄迈又冲上40℃。连续9天上40℃,继续刷新海南
【降水】今天08-14时,降水总体不是很多。湖南江西依然是降雨相对明显的区域,部

【降水】今天08-14时,降水总体不是很多。湖南江西依然是降雨相对明显的区域,部

【降水】今天08-14时,降水总体不是很多。湖南江西依然是降雨相对明显的区域,部
【超强台风森拉克】从今天4时、9时、14时的红外增强云图对比看,森拉克眼壁区的对

【超强台风森拉克】从今天4时、9时、14时的红外增强云图对比看,森拉克眼壁区的对

【超强台风森拉克】从今天4时、9时、14时的红外增强云图对比看,森拉克眼壁区的对
【气温】今天截至14时最高,海南昌江和白沙,39.6℃并列第一。之前连续40℃的

【气温】今天截至14时最高,海南昌江和白沙,39.6℃并列第一。之前连续40℃的

【气温】今天截至14时最高,海南昌江和白沙,39.6℃并列第一。之前连续40℃的
【海口高温】今天中午,海口气温又冲上35℃高温线,连续10天高温,继续改写4月最

【海口高温】今天中午,海口气温又冲上35℃高温线,连续10天高温,继续改写4月最

【海口高温】今天中午,海口气温又冲上35℃高温线,连续10天高温,继续改写4月最
【超强台风森拉克】从今晨的云图对比看,森拉克的强度在减弱,核心对流区的高度下降,

【超强台风森拉克】从今晨的云图对比看,森拉克的强度在减弱,核心对流区的高度下降,

【超强台风森拉克】从今晨的云图对比看,森拉克的强度在减弱,核心对流区的高度下降,
【降水和对流】昨天到今晨,青藏高原出现较大范围降雪。长江中下游到华南北部出现大范

【降水和对流】昨天到今晨,青藏高原出现较大范围降雪。长江中下游到华南北部出现大范

【降水和对流】昨天到今晨,青藏高原出现较大范围降雪。长江中下游到华南北部出现大范
【雾 霾 沙尘】今晨我国部分地区出现大雾,南方一些站点出现雨雾混杂的情况。今晨8

【雾 霾 沙尘】今晨我国部分地区出现大雾,南方一些站点出现雨雾混杂的情况。今晨8

【雾 霾 沙尘】今晨我国部分地区出现大雾,南方一些站点出现雨雾混杂的情况。今晨8
【气温】今天全国有两个国家级气象站超40℃,海南澄迈40.5℃、云南元阳40.1

【气温】今天全国有两个国家级气象站超40℃,海南澄迈40.5℃、云南元阳40.1

【气温】今天全国有两个国家级气象站超40℃,海南澄迈40.5℃、云南元阳40.1
【降水】昨晚到今天,青藏高原出现大范围降雪。湖南江西等地出现强降雨,湖南衡南81

【降水】昨晚到今天,青藏高原出现大范围降雪。湖南江西等地出现强降雨,湖南衡南81

【降水】昨晚到今天,青藏高原出现大范围降雪。湖南江西等地出现强降雨,湖南衡南81
【强对流】预计4月13日20时至14日20时,湖南中南部、江西中部、浙江南部、福

【强对流】预计4月13日20时至14日20时,湖南中南部、江西中部、浙江南部、福

【强对流】预计4月13日20时至14日20时,湖南中南部、江西中部、浙江南部、福
【沙尘】今天新疆和田,持续出现沙尘爆表。不过其他站点,并没有明显沙尘。未来3天,

【沙尘】今天新疆和田,持续出现沙尘爆表。不过其他站点,并没有明显沙尘。未来3天,

【沙尘】今天新疆和田,持续出现沙尘爆表。不过其他站点,并没有明显沙尘。未来3天,