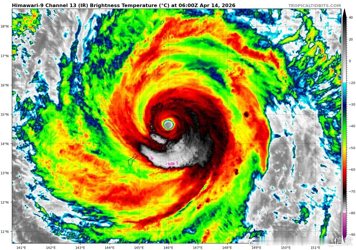
【超强台风森拉克】从今天4时、9时、14时的红外增强云图对比看,森拉克眼壁区的对流在减弱。可见光云图上看,眼区里有低云,并不是晴空。14时中央气象台给出的强度为58米/秒,925百帕。今天白天的路径比之前预报偏西,因此下午的预报看,今晚明天凌晨,森拉克的中心有可能穿过塞班岛,或者从塞班岛南侧掠过。因为着塞班岛可能会经历台风眼壁区扫过、且处于台风前进右侧危险半圆,风雨会极强。






【超强台风森拉克】从今天4时、9时、14时的红外增强云图对比看,森拉克眼壁区的对流在减弱。可见光云图上看,眼区里有低云,并不是晴空。14时中央气象台给出的强度为58米/秒,925百帕。今天白天的路径比之前预报偏西,因此下午的预报看,今晚明天凌晨,森拉克的中心有可能穿过塞班岛,或者从塞班岛南侧掠过。因为着塞班岛可能会经历台风眼壁区扫过、且处于台风前进右侧危险半圆,风雨会极强。





