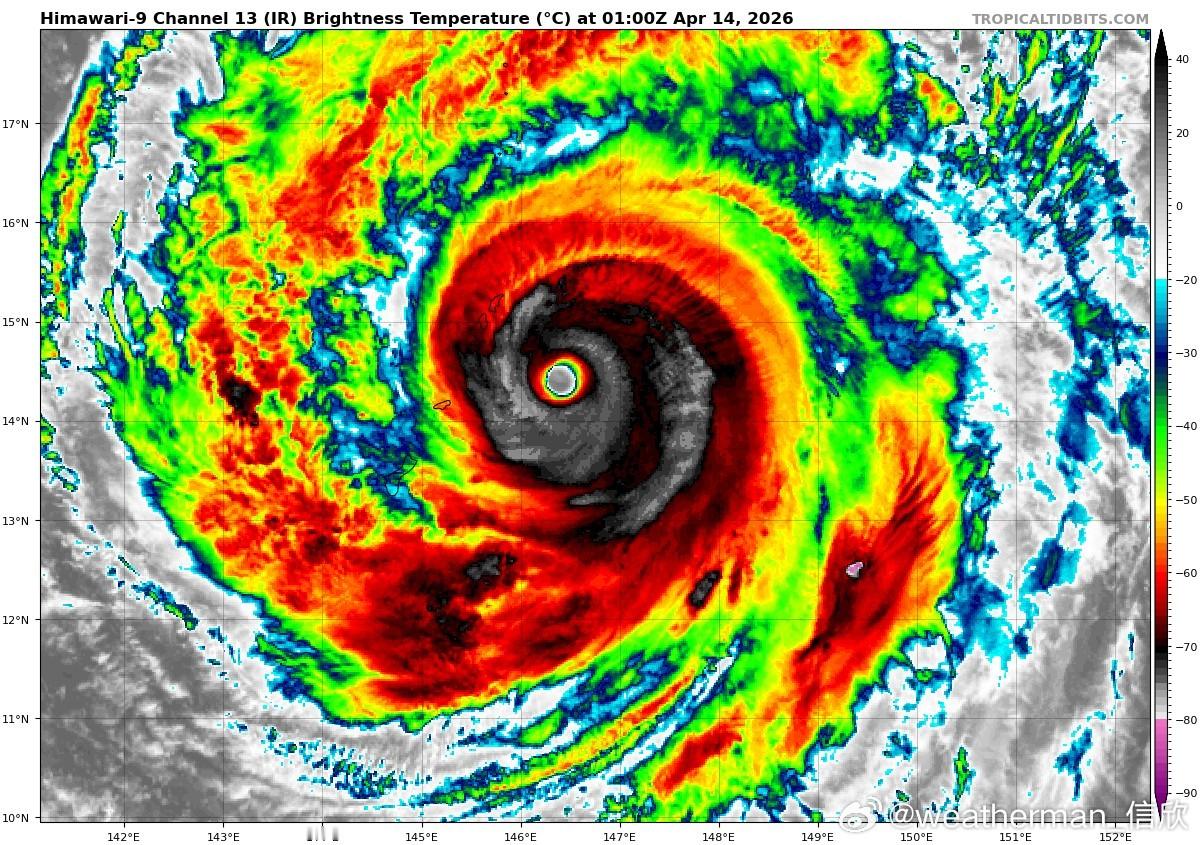
【超强台风森拉克】从今晨的云图对比看,森拉克的强度在减弱,核心对流区的高度下降,凌晨4时云顶亮温还有低于零下80℃的粉色区,9时已经是灰黑色的零下70℃区(云顶越冷、越高、对流越强)。未来前进路径上,海温下降、垂直风切变加大、中层湿度也下降,有干空气卷入,强度将继续下降。
从路径预报看,相比之前向东北调整,今晚可能从塞班岛东侧近海掠过,但也不排除登陆塞班岛的可能性。总之,今天傍晚-前半夜是对塞班岛影响最严重的时段。15-16日,森拉克北上为主,17日以后加速向东北行。对我国无影响。






【超强台风森拉克】从今晨的云图对比看,森拉克的强度在减弱,核心对流区的高度下降,凌晨4时云顶亮温还有低于零下80℃的粉色区,9时已经是灰黑色的零下70℃区(云顶越冷、越高、对流越强)。未来前进路径上,海温下降、垂直风切变加大、中层湿度也下降,有干空气卷入,强度将继续下降。
从路径预报看,相比之前向东北调整,今晚可能从塞班岛东侧近海掠过,但也不排除登陆塞班岛的可能性。总之,今天傍晚-前半夜是对塞班岛影响最严重的时段。15-16日,森拉克北上为主,17日以后加速向东北行。对我国无影响。





